Celie, Steentjes, Broekelken
De laatste jaren is de evolutie in onze landelijke dorpen nog nauwelijks bij te
houden. Geen jaar, geen maand gaat voorbij of er hebben zich ingrijpende
wijzigingen voorgedaan op het gebied van bewoning, het stratennet en dies meer.
Ook Adegem ontsnapt niet aan deze blijkbaar noodzakelijke veranderingen. Daarom
ligt het in onze bedoeling de lezers mee op tocht te nemen door het Adegem van
vóór een paar eeuwen.
Het deel van deze gemeente waarover we het in deze bijdrage willen hebben wordt in het landboek van 1642 als volgt beschreven: "dit naervolghende is den wyck ofte beloop daer de capelle meerschen in ligghen oost steentgens straetgen, suyt de broeckelstraete west dan waelen wegh lancxt de straete tot selien plasch tot het landt van Adriaen haerens en soo deur het landt naer de lieve ende lancxst de lieve tot steentgens rabodt".
![]() |
| Celiebrug: tweemaal vernietigd, tweemaal heropgebouwd.
Deze ijzeren ophaalbrug, typisch voor het Schipdonkkanaal, gaat zeer zelden
de hoogte in. Er is hier geen scheepvaart mogelijk, dit in tegenstelling tot vroeger: toen lag er hier een losplaats op de Lieve. |
| Foto: Johan Van Laere. |
Dit beloop is het tiende "begin" (= sectie) van de 31 waarin Adegem in die tijd was verdeeld. We hopen die 31 beginnen in de loop van volgende bijdragen te kunnen behandelen om zo een volledig overzicht te krijgen van Adegem in de 17de, 18de en 19de eeuw.
![]() |
| Eventjes voorbij deze boerderij bevond zich het punt waar de
drie parochies (Adegem, Maldegem en Sint-Laureins) samenkwamen. Om dit punt goed
aan te duiden had men er een boom geplant. In de 19de eeuw werd de grens van Adegem verlegd tot aan het Schipdonkkanaal. |
| Foto: Walter Notteboom |
![]() |
| Edgard Sierens met zijn kleinzoon op stap langs de Celiewegel, waarvan niet veel meer overblijft. Op de achtergrond bemerkt men de Deisterwalhoeve. |
| Foto: Johan Van Laere. |
CELIE
In tegenstelling tot wat voor een paar jaar het geval was kwam de grens van
Adegem niet tot aan Celiebrug. De grensscheiding tussen Adegem en Sint-Laureins
begon op ongeveer 500 meter vóór de brug van Celie, aan de rechterkant van" de
straete ghenaempt Selie Plas". In de 16de eeuw stond op die plaats een boom waar
de tiendengebieden van Adegem, Maldegem en Sint-Laureins samen kwamen. De
meersen op de westkant van de weg en deel uitmakend van Sint-Laureins, noemde
men de Fonteinemeersen.
Vanaf dit punt liep het "gescheed van Adegem en Sinte Laurens " dwars door de
velden, over de Lieve, in een bijna rechte lijn tot ongeveer 50 meter onder de
Boterhoek.
![]() |
![]() |
| Detail kaart Atlas van de Lieve. |
| Reproduktie: Nino Tondat. |
In 1550 werd de grens tussen Adegem en Sint-Laureins gevormd door de hoofdwatergang van de Noordbroekwatering die enkele tientallen meter ten zuiden van de Lieve liep. Het gebied waarover wij het verder zullen hebben maakte trouwens volledig deel uit van de Noordbroekwatering. Op de kaart van Pourbus (Kop. 1597) bemerken we ongeveer halverwege Celie en Steentjes een paalsteen op de Noordbroekwatergang. Ook aan de overkant van de Lieve bevond zich een paalsteen. Deze grens werd in de loop van de 17de of 18de eeuw gewijzigd: zij liep recht van de reeds eerder genoemde plaats onder Celiebrug naar de Boterhoek.
Op de kaart van P.C. Popp (midden vorige eeuw) liep de grens tussen beide
gemeenten in het midden van het kanaal van Schipdonk dat in de bedding van de
Lieve werd gegraven. Deze laatste grenswijziging dateert waarschijnlijk uit de
Franse tijd (of ter gelegenheid van het opmaken van het modern kadaster?).
Celie is een zeer oude wijk zowel van Adegem als van St.-Laureins. De naam werd
op de meest verschillende manieren gespeld: Celien (1383), Celyen (1401), Selie
(1559). Van de brug van Celie liep er een kerkweg naar St.-Laureins: "in sinte
Lauwereins aenden kerckwegh gaende van Celie naer sinte Lauwereins". Celieplas
was en is nog steeds een veel gebruikte verbinding tussen Maldegem, Adegem en
St.-Laureins. En verder kwam het toponiem Celie nog voor in de Celiewegel, een
nu in onbruik geraakte kerkwegel.
Gunstig gelegen op deze wegen lag deze wijk ook nog aan de Lieve: er konden hier
goederen gelost en geladen worden. Heel wat mensen van Adegem maakten daar
gaarne gebruik van.
Betekenisverklaringen voor de naam Celie zijn velerlei maar niet altijd
eensluidend. Volgens A. Carnoy zou Celie een vervlaamste vorm zijn van het
Franse "ceille" wat dan weer teruggaat op het Latijnse" cella" of huiskapel. Op
het eerste gezicht wordt deze uitleg geruggesteund door het feit dat in dezelfde
buurt ook de "Capelle meerschen" liggen. We menen echter dat deze Capelle
meerschen" eertijds eigendom geweest zijn van de O.-L.-Vrouwkapel van Adegem of
van de Chartreusen in Brugge die hier verschillende stukken land bezaten.
Volgens R. Bernaert "herinnert de naam sterk aan het Germaanse Selium, Salium,
zale, sele, d.i. woonplaats, huis met één enkele (grote) kamer. We menen echter
de Germaanse oorsprong elders te moeten zoeken. Er bestond vroeger een Germaans
woord "saljôn" dat waterwilg betekende. Door klankwetten waarover wij hier niet
verder zullen uitweiden is de evolutie van "saljon" naar" selie" perfect
verklaarbaar. In die betekenis treffen we het woord trouwens aan in het oude
Duitse toponiem" Selibak": "saljôn + baki": de beek met de waterwilgen.
We stippen hierbij ook nog aan dat men Celie vaak verbindt met het achtervoegsel
-plas. Daarom, en ook wegens de "-n" die in betrekkelijk veel oude
spellingsvormen opduikt vinden wij dat de "saljon"-interpretatie de meeste
aandacht verdient.
Vlak tegen Celiebrug stonden drie herbergen:
| - | op de zuidzijde van de Lieve stonden "den Posthoorn" en "de Leeuw", werd ook nog "de Roo Leeuw" genoemd, die in 1779 uitgebaat werd door Aernout Stroo. |
| - | op de noordkant stond "de Kroone ". Deze herberg was eigendom van brouwer Gillis De Smet die op Raverschoot woonde. In 1719 werd deze herberg met een rente bezwaard: "op een huys sijnde herberghe staende op cheyns van de stadt ghend". |
DE LIEVE
Zoals men weet bezat de stad Gent niet alleen de waterweg de Lieve (voltooid
kort voor 1269) maar ook de "barmen": een strook grond aan weerszijden van de
Lieve waarvan de Gentenaars in feite eigenaars waren. Deze gronden, alsook de
bruggen en rabotten werden door de stad Gent verpacht. Naast zekere voordelen
was de pachter verplicht de barmen, bruggen en rabotten goed te onderhouden. Dit
gebeurde zonder noemenswaardige moeilijkheden tot het ogenblik was gekomen dat
Gent de Lieve niet meer zo nodig had: toen liet men de Lieve vervallen bij zo
verre dat verdere scheepvaart onmogelijk werd. Maar, nog tot in de 19de eeuw was
de Lieve Gents bezit.
![]() |
| Enkel het ruisen der populieren verbreekt hier de stilte.
Maar ook dit behoort binnenkort tot het verleden. Het kanaal zal verbreed worden en er zullen hier schepen tot 2.000 ton kunnen varen. |
| Foto: Walter Notteboom |
Tussen Steentjes en Celie bezat de stad Gent volgende eigendommen:
| 1. | "het waeter van de Lieve van aen steentjes put tot aen de Celie brugge groot bevonden (door de afdamming werd vóór elke rabot een verbreding van het water gevormd, vandaar steentjes put) | ||
791 r. | |||
| 2. | op de noordkant van de Lieve (te beginnen aan Celiebrug): | ||
| - | "een behuysde hofstede noortwest de straete leedende van celiebrugge naer de prochie van Sente Lauwerijns (= de herberg de Croone) | 333 r. | |
| - | een planterye, suyt de voorgaende partye met de scheegracht | 278 r. | |
| - | Omstreeks 1600 was Adriaen Heyne pachter van deze cijns die begon "vanden paelsteen
staende thenden de partie numero LXVI en streckende tot celyen brugghe in lynghde LXII roeden VIII voeten
zonder te weten de breede, nemaer ghenomen op de breede van de voornoemde pacht soo alsvooren". In 1609, op 30 oktober werd de pacht verlengd voor nog eens 18 jaar en dit voor 8 sch. gr. Reeds in 1560 zou er een lid van de familie Heyne eigenaar geweest zijn van de herberg "de Croone". | ||
| - | "gersynghe beplant met boomen, suytoost de leendreve" | 1601 r. | |
| - | "een plamerye suytoost de voorschreven partye ende noort west de leendreve hiermede gaende | 762 r. | |
| - | "gersynghe beplant met boomen" | 302 r. | |
| - | "een partye gersynghe met een hofstede daer op staende, streckende voorbij de moerstraete | 422 r. | |
| 3. | op de zuidkant van de Lieve (te beginnen van Celiebrug): | ||
| - | "een hofstedeken rechtover Celiebrugghe, noortwest de straete" (= herberg De Leeuw?) | 30 r. | |
| - | "een hofstedeken " (= herberg De Posthoorn?) | 23 r. | |
| - | "een behuysde hofstede" | 149 r. | |
| - | "een partye landt" | 207 r. | |
| - | "gersynghe beplant met boomen" | 520 r. | |
| (dit was de eerste cijns die op het grondgebied van Adegem lag; als pachters ervan treffen we achtereenvolgens aan: Pieter De Rycke (1642), Jan Heijne (1692), Jan Haemelinckx (1727), Laurens Verheecke (1771) en Jan De Vos (1780)) | |||
| - | "gersijnghe beplant met boomen beginnende suyt-oost van ontrent steentjes put ende noort west de volgende partye met een scheegracht | 1552 r. | |
| Deze partij werd achtereenvolgens gepacht door: Pieter Stieperaere (1642), Cornelis Matthijs (1716) en Pieter Stieperaert (1747). | |||
Bij het overlopen van die cijnzen is het wel eigenaardig dat men het telkens heeft over "steentjens put" en niet over Steentjesrabot. Zou het rabot dan reeds in 1616 verdwenen zijn en bleef er alleen de put waar het rabot eens had gelegen?
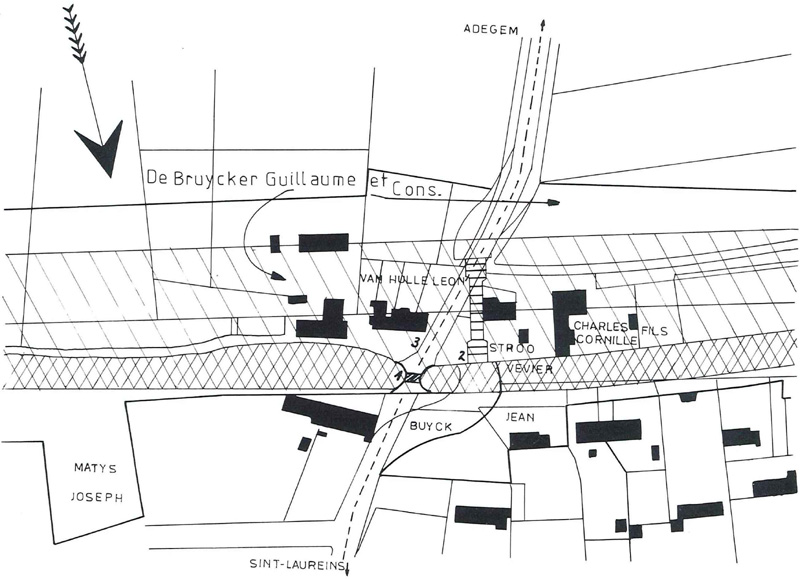
![]() |
| Celiebrug - Kanaal van Schipdonk. Op dit plan zien we hoe het ontworpen Kanaal van Schipdonk de wijk Celie volkomen veranderde. Verschillende huizen (o.a. de herbergen De Leeuw en De Posthoorn zullen door het nieuw kanaal worden ingenomen. De ligging van de eerder kleine brug over de smalle Lieve is totaal verschillend van de nieuw te leggen brug. Het wegennet werd ook aangepast. Het gestreepte deel duidt het huidige Schipdonkkanaal aan, de brede dikke lijn toont ons hoe ver er onteigend werd. De aanleg van het kanaal heeft ongetwijfeld heel wat problemen meegebracht voor de bewoners van deze wijk. 1. Oude brug over de Lieve. 2. Brug over het Schipdonkkanaal. 3. Verdwenen weg: zie plan 2 |
| R.A.G. Kaarten en Plannen. |
STEENTJES
Zo zijn we na onze wandeling langs de Lieve heen op Steentjes beland. Op deze
plaats bevond zich het laatste rabot op de Lieve (het allerlaatste bevond zich
in Damme). Waar het waterpeil van deze waterloop vanaf Vinderhoute tot Steentjes
7 meter bedroeg, bracht het sluisje van Steentjes de schuiten van 7 op 5 meter.
Het wegen- en waternet werd hier door het graven van de Lieve bruusk
onderbroken: op oude kaarten is dat nog duidelijk te zien, en tot op de dag van
vandaag bevindt de Steentjesstraat zich in het verlengde van de Heskensstraat op
Sint-Laureins.
![]() |
| Precies op de plaats waar eens Steentjes rabot lag wordt nu een reusachtige brug gebouwd waarover straks het verkeer van de autosnelweg Antwerpen-Kust zal voorbij snellen. Een indrukwekkend geheel. |
| Foto: Johan Van Laere. |
De volslagen landelijke rust die hier tot over kort heerste wordt nu gestoord
door de aanleg van een enorme brug waarover straks de auto's zullen razen die
zich van Antwerpen naar de kust zullen begeven. De geschiedenis heeft zich hier
wel degelijk herhaald: de moderne autoweg vervangt als het ware de eeuwenoude
Antwerpse heirweg die hier niet ver vandaan liep. Naast deze autoweg zien we een
honderdtal meter verder de hoge schouw van de verbrandingsoven waaruit de
giftige (?) gassen zich hoog boven onze streek verspreiden. Vergeten we ook de
hoogspanningsleiding niet ! De vooruitgang heeft hier wel hard toegeslagen !
De tientallen wandelaars die 's zondags vol nieuwsgierigheid de werken aan de brug
komen bezichtigen zullen wel nooit vermoeden dat er zich hier een paar eeuwen
voordien een rabot bevond over een niet meer bestaande waterloop. Men
heeft te veel oog voor het indrukwekkende bouwwerk dat, het moet gezegd worden;
het landschap toch niet al te erg stoort.
De bouw ervan nam een aanvang op 2 mei 1979. Het is een brug die eigenlijk uit
twee delen bestaat: een betonnen onderbouw waarop een metalen bovenbouw rust. De
firma Sotrahy stond in voor de betonwerken. De zeer drassige en moerassige bodem
verplichtte de aannemer een beroep te doen op een Nederlandse firma die hier op
en bij de 400 palen de grond inheide. Deze operatie gebeurde volgens het
FUNDEX-systeem: een stalen buis wordt door middel van een 5.000 kg zwaar blok in
de grond geslagen (men kon de kloppen tot in Adegem-centrum horen !); op een
diepte van ongeveer 12 meter vindt men vaste voet onder de grond. De stalen
koker wordt vervolgens gevuld met beton (geleverd door de firma Van den
Braembussche uit Balgerhoeke). Tenslotte wordt de buis uit de grond getrokken om
een nieuwe put te slaan, en zo ging het almaar door. Op deze palen bouwt men de
betonnen pijlers die de stalen bovenbouw moeten dragen.
Voor deze bovenbouw stichtten de firma's Buyck (Eeklo) en Nobels-Peelman een
tijdelijke vereniging. De elementen werden in de werkhuizen van de firma Buyck
vervaardigd en werden niet zonder moeite ter plaatse gebracht. De bouw van deze
brug wordt eigenlijk op dezelfde manier uitgevoerd als het reuze-grote viaduct
over de Renaultfabrieken in Vilvoorde.
De totale lengte van dit kunstwerk bedraagt 350 meter, waarvan 160 meter over
spanning. De brug is 40 meter breed: 2 x 3 rijstroken, 2 parkeerstroken,
voetgangers en fietsers worden van het verkeer gescheiden gehouden door een
dubbele
vangrail. Kostprijs van het geheel: 400 miljoen, exclusief BTW !!!
Ook het Schipdonkkanaal werd hier reeds aangepast. In de nabije (?) toekomst
zullen hier schepen kunnen varen van 2.000 ton (nu 350 ton tot in Balgerhoeke).
Het wateroppervlak zal 90 meter breed zijn, terwijl het gabarit (bevaarbare
oppervlakte) 55 meter zal bedragen. De brug ligt op ongeveer 11 meter boven het
wateroppervlak. Het hele project moest reeds in 1981 klaar geweest zijn.
![]() |
| Wijds panorama genomen vanop de brug in de richting van het Broekelken. De aardeweg is het aloude "Steenkin straetken" oftewel, Steentjesstraatje. |
| Foto: Johan Van Laere. |
BROEKELKEN
Van" Steenkens rabatte" (1559) begeven we ons langs het "Steenkin straetkin"
naer het Broekelken.
Tot voor enkele jaren had dit straatje nog zijn oud uitzicht bewaard en, alhoewel het er nog
rustig wandelen is, rezen ook hier de nieuwe woningen als paddestoelen uit de grond.
Het toponiem "Broekelken" treffen we reeds aan in 1348 in een charter van de
Onze-Lieve-Vrouwkerk van Brugge: "in Adenghem... straetken dat strekt ten Boeckelkine
waert". De betekenis van deze oude naam houdt verband met het Germaanse
"broke": moeras. Misschien is het tweede lid "-el" een nevenvorm
van "10" dat afkomstig is van "lauha" wat bos betekent. Broekelken
is een toponiem dat tamelijk veel voorkomt. We treffen het o.a. aan in Kortemark,
Langemark, Eernegem, Loppem en Lichtervelde.
![]() |
| Het huisje waar Edgard Liviens woont. De woning staat er reeds meer dan tweehonderd jaar; zij het met heel wat veranderingen. Links van dit huis loopt de aloude Deisterwegel. |
| Foto: Johan Van Laere. |
In de 15de eeuw stonden er op de noordkant van het Broekelken drie hoeven, het
landboek van 1642 vermeldt er slechts twee; honderd jaar later (1768) tellen we
5 hoeven. In het midden van vorige eeuw tekenden Popp 8 woningen op de noordkant
van dit straatje.
Wie vanuit de Canadezenlaan (vroeger Statiestraat, en nog vroeger "den kerken
wegel") in het Broekelken komt, rijdt als het ware recht op het huisje waar nu
de heer Edgard Sierens en echtgenote Germaine De Meyere wonen. Ze hebben van hun
hof een waar juweeltje gemaakt dat vooral 's zomers de aandacht van de
voorbijgaande wandelaar trekt. Rechts van het huis loopt de aloude Deisterwegel
die een verbinding vormde tussen Celie en Adegem. Deze wegel is nu totaal in
onbruik, maar bestaat nog. Verder naar rechts stond tot het midden van vorige
eeuw geen enkel huis. De bewoning van het Broekelken situeerde zich links van
het huis van Edgard Sierens. Ook deze woning staat er nog niet zo lang. In 1642
was het land waarop het huis nu staat eigendom van Pieter Corthals. De partij
had een oppervlakte van 300 roeden. Wanneer precies en door wie er hier voor het
eerst een huis werd gebouwd konden we tot nu toe niet achterhalen. Wel vonden we
de achtereenvolgende eigenaars en/ of gebruikers terug:
Jan Wieme 1719,
Pieter De Metsenaere 1733,
Jan Wieme 1742 (familie van de eerste?)
Pieter Ryckbosch 1747,
Jan Verhaeghe 1770.
12
Het is niet onwaarschijnlijk dat het Pieter Ryckbosch is geweest die er een
woning liet bouwen. In het landboek van 1765 staat de partij land voor het eerst
beschreven als zijnde" huys ende zaeylant daer hij (= Ryckbosch) woont...
Nog in 1795 woont Jan Verhaeghe er, samen met zijn echtgenote Petronella Servyt.
De volgende hofstede, (die van de familie Matthijs) is heel wat ouder. Reeds
voor 1642 waren "d'hoirs Pieter Claeyssens" er de eigenaars van een "hofstede
ende land binnen grachten, suyt de Brouckelstraete, noort de selve hoirs, west
dhoirs lareyns de maeckere is groot volle landt 3 ghemete 260 roeden". In 1682
woonde de weduwe Standaert op deze boerderij, maar "d'heer Jan de Coorebijter"
was er in 1727 eigenaar van. Wat later waren de "Jouffrouwen de Coorenbittere"
er de eigenaressen van.
Pieter Van Leeuwe woonde er in 1757 en in 1774 komt Pieter Crul op deze oude
boerderij wonen. Pieter was gehuwd met Petronelle Danneels, beiden waren geboren
en getogen Adegemnaars. Hun kinderen waren nogal honkvast, want in 1795
verbleven ze nog allemaal in de ouderlijke woning. Op de hoeve bevonden er zich
slechts twee gebouwen: een tamelijk grote schuur op de oostkant van de hoeve en
het ruime woonhuis bevond zich op de westkant. Was ook deze boerderij vroeger
door een omwalling omringd? Het is niet onmogelijk, want op een kaart daterende
uit 1765 zien we er nog duidelijk de resten van liggen achter de schuur.
Midden vorige eeuw waren Hippoliet en Theodoor Vermast, leerlooiers uit Eeklo,
eigenaars van deze boerderij. Huidige bewoners zijn Pieter en Kamiel Matthijs.
Bij de afbraak van de oude schuur kwamen er zeer mooie en merkwaardige balken te
voorschijn.
Daarnaast stond de "hofstede ende saeijlandt" van Fermeyn de Breune.
Achtereenvolgende bewoners waren:
d'hoirs Jacques Berny,
Jacques Berny 1682,
Jacques Mariman 1727,
Pieter Servet 1740,
Bernaert Bekaert 1769 (verwierf 540 roeden van de 840),
Francois Den Dauw 1781.
Deze hofstede is de tweede (en laatste) die er in 1642 stond. Nu woont de heer
Maurits Van Canneyt er. De oude schuur werd gedeeltelijk vernieuwd.
Wandelen we verder het Broekelken in dan komen we aan het zeer riante woonhuis
waar de familie Van de Kerckhove-Craeye woont. Voorheen stond hier de boerderij
van de familie Savat. In 1642 was Fermeyn de Breune eigenaar van dit stuk grond
dat een oppervlakte had van 510 roeden. Deze hoeve werd circa 1660 gebouwd.
Achtereenvolgens woonden er: Jan Blondeel, Gillis Van der Sluys, Laureins
Matthijs en Bernaert Bekaert.
De kinderen van Bernaert (Jan, Ferdinand, Pieter, Francies en Anna) woonden er
in 1795.
Dit waren dan de drie grote boerderijen die op de noordkant van het Broekelken
stonden. Een eigenaardigheid ervan is dat de gebouwen bij alle drie de
boerderijen op dezelfde manier op het hof gebouwd zijn: de schuur bevindt zich
steeds op de oostkant van het hof en is in noord-zuid richting gebouwd; het
woonhuis bevond zich aan de andere kant, op de oostkant dus en is in oost-west
richting gebouwd.
![]() |
| Gerestaureerd boerderijtje waar op het einde van de 18de eeuw de familie Den Dauw woonde. De "mode" van het opkopen en restaureren van oude huizen heeft dikwijls positieve kanten: we zien er hier een mooi voorbeeld van. |
| Foto: Johan Van Laere. |
Alle drie de hoeven waren omringd door grachten. Het land dat erbij hoorde lag, in stringen verdeeld, onmiddellijk achter de gebouwen.
* * *
Juist naast de laatste boerderij lag een klein stukje grond, eigenlijk meer een
dreef.
Het was eigendom van de kerk van Adegem. In een landboek uit 1660 lezen we:
"Item behoirdt de kercke toe nogh 66 roeden lants ligghende inde
noortbroucwaterynghe in een meerder stuck int broeckelken toe behoorende Jacques
Van Wambeke ende d'hoirs Pauwels Speybrouck tot brugghe vande west cant inne Jan
Blondeel met zijn hofstede aen de westzijde, aende oostzijde Jacques Van Wambeke
met consoorten, commende met den zuythende up brockelstraetken, ghebruyckt bij
Niclaeijs Claeijs ten jaere 1660".
![]() |
| Op de hoek van de Waleweg en het Broekelken staat deze kleine woning, gebouwd in de trant die op het einde van de vorige eeuw in zwang was. De familie Verstuyf woonde hier lange tijd. Hoe eenvoudig het huisje ook is, toch is er enige versiering aangebracht boven ramen en de deur. |
| Foto: Johan Van Laere. |
In 1661 was Lauwereys Standaert (de Jonge) pachter van deze smalle reep land.
Na een paar jaar konden de kerkmeesters dit stuk niet meer verpachten en ze beplantten
het al spoedig met "heecken plantsoenen". De "taille" ervan
werd om de 6 jaar openbaar geveild. Zo werden op 2 december 1771 één van de twee
"roten eecken boomen" verkocht wat meer dan 16 pond opbracht.
In 1773 werd dit stuk afgedolven. Door het kerkbestuur werd toen het volgende
vastgesteld: "alsoo het maer eene smalle striepe en is, nauwelijks eene roede
(8,15 m !) breed en datter de boomen geen deyement en hadden, mits sij stonden
onder
de boomen van bekaert, soo sy met consent van den heer pastoor met de ghemelden
bekaert overeen gecommen om de boomen t'saemen te vercopen, met de 66 roeden land te
brenghen tweirs over het stud: jeghens het brouckelstraetken hetwelcke proffyter zal
wesen voor dese kercke..." De bomen werden dan op 24 december 1773 door de
kerkmeesters en door Bekaert "bij kerckgheboden" verkocht voor 9-4-10.
Na het vellen der bomen werden er opnieuw "heecken stecken" op geplant die
in maart 1777 precies twee jaar oud waren, want in die maand van dat jaar waren de
"beesten van den ghemelden Bekaert" uitgebroken en hadden zich tegoed gedaan
aan de jonge twijgjes. Pieter De Bruijckere, beëdigd schatter, prijsde de schade
op 8 guldens, wat 1-6-8 pond grooten uitmaakte.
![]() |
| Vanop Maldegems grondgebied kijken we in de richting van het Adegems Broekelken. Mocht deze foto over honderd jaar genomen zijn, dan zou men geen enkel huis hebben zien staan.. |
| Foto: Johan Van Laere. |
Bij de "grote verkoop" van de kerkgoederen in 1841 werd dit stukje land verkocht voor 341 frank aan de "vrouwe van Jan Francies Willems".
* * *
Het laatste oud huisje is nu geheel gerestaureerd en draagt als naam: "'t
Hoeveke". Leo Cocquyt woonde hier en nu is het eigendom van een Gentenaar.
Hij maakte er een mooi buitenverblijf van.
Frans Den Dauw was er eigenaar van in 1795. Deze Francies, gehuwd met Catharina
De Cal uwe was ongetwijfeld een lid van de bekende familie Den Dauw die zo lange
jaren het ambt van koster waarnam in de kerk van Adegem. Francies en zijn
echtgenote overleden allebei in 1802.
![]() |
| De Deisterwalhoeve. |
| Foto: Walter Notteboom |
Eventjes voorbij dit laatste huisje lag de Kapelledreef die naar de Kapellemeersen leidde. Op het einde van deze dreef begon een klein wegeltje, de Kattewegel die recht naar Steentjes liep.
Keren we op onze stappen terug en laat ons naar de Waleweg wandelen. We komen opnieuw voorbij de Deisterwegel. Vanaf hier stond er, tot aan de Deisterwalhoeve geen enkele woning. Pas midden vorige eeuw werden er enkele woningen gebouwd.
![]() |
| Grondplan van de Deisterwalhoeve. |
| Door: P. Van Cleemput. |
Van de "bewalde hofstede Deysterwal" blijven de gegevens eerder aan de schaarse
kant. In 1641 was de eigenaar en gebruiker een zekere Jacques Van Wambeke. De
"hofplekke" was toen 390 roeden groot. Vervolgens treffen we Jan Claeijs aan als
bewoner. Bernard Moens volgde Jan Claeijs op in 1719. Aernout Imschoot woonde op
deze boerderij in 1728. In de 18de eeuw was het de familie Van de Velde die op
Deisterwal woonde. Rond 1736 baatte Carel Van de Velde de hoeve uit. Zijn weduwe
zette na zijn overlijden het bedrijf verder. Zij werd geholpen door haar zonen
Carel, Bernard, Cornelis en dochter Johanna. Cornelis Dobbelaere en Carel De
Jaegher waren er knechten.
Nadat Cornelis Van de Velde een poosje de hoeve had uitgebaat was het tenslotte
broer Bernardus die hem in het begin van de 19de eeuw opvolgde. Bernardus huwde
met Sofie Buyck uit St.-Laureins. Het echtpaar kreeg 8 kinderen: Karel, Sofie,
Augusta, Amelie, Camille, Joanna, Felix, Celestine en Edmond. Namen om van te
dromen !
Als pachters vonden we nog volgende personen:
Emiel Thijs 1908-1920,
Camiel Van Canneyt 1920,
Van Loo 1925,
Jules De Roo-Van Canneyt 1925,
Cyriel Van Canneyt-Van Hecke 1937,
Maurits Lammertijn-Lamote 1939.
![]() |
| Vooraanzicht van de hoeve Accoe. De tegen het woonhuis aangebouwde stalletjes (koterijen) zijn een typisch verschijnsel in onze streek. |
| Foto: Johan Van Laere. |
Huidige bewoners zijn de heer en mevrouw Louis De Roo-Esther Van de Velde,
sedert 1949. De heer De Roo is dijkgraaf van de Polder van Maldegem, funktie die
hij tot eenieders tevredenheid met nauwgezetheid uitoefent.
De omwallingen werden voor een paar jaar opgevuld met huisvuil van de in die tijd rondrijdende
"vuilkar " van Adegem en met afval van de "vellenfabriek" van Eeklo.
Eventjes voorbij de hoeve Deisterwal staat de laatste oude hofstede, nu bewoond
door de familie Accoe. In 1642 woonde Jan Van Sluijs hier: "een hofstede ende
landt binnen grachten, oost ende suyt denselven, west de straete, noort eenen
landtwech". In 1725 komt Pieter Verhoste hier wonen, korte tijd nadien opgevolgd
door zijn zoon Francies Verhoste. Later werd een zekere "heer Doctoor van
Thielen" eigenaar van deze hoeve. Hij verpachtte ze aan Pieter Cocquyt.
Latere bewoners waren leden van de familie Van de Velde die ook Deisterwal
uitbaatten.
De landwegel eventjes voorbij de laatste boerderij is het zogenaamde
Langestraatje. Helemaal op het einde ervan lag een partij land die "mulders
bosch" werd genoemd, en een eind daarvoor treffen we "den haegh bosch" aan.
De meersen in de omtrek werden de "Kapelle meersen" genoemd. De Chartreusen van
Brugge hadden hier heel wat stukken land in eigendom.
Het tiende begin waarover wij het in deze bijdrage hadden was verdeeld in 147
genummerde percelen, gaande van enkele roeden tot enkele gemeten. De "hemelse
breede" (werkelijke oppervlakte) ervan bedroeg 305 gemeten 148 roeden, in "bunderinghe"
(opp. waarop de belasting werd berekend) kwam men tot een oppervlakte van 290 gemeten 36 roeden.
![]() |
| In de verte zien we de gebouwen van de hoeve Accoe. Binnenkort beginnen hier de werken aan de autoweg. |
| Foto: Johan Van Laere. |
Het overgrote deel van de percelen worden omschreven als zijnde "zaeyland". Naast de twee beplante cijnzen van de stad Gent vonden we ook een tiental meersen (vooral rond de waterloop van de Noordbroekwatering) en een achttal bossen.
* * *
Hiermede is dan ook een einde gekomen aan onze eerste "heemkundige uitstap" in Adegem. We beperkten ons tot bewoners en toestanden uit de 17de en 18de eeuw. Anders zouden we het nog moeten gehad hebben over de familie Verstuyf, over de wel zeer bekende familie De Schepper (een naam die niet weg te denken is uit het Broekelken), over het oude hoevetje van de Theofiel De Cock, over het kapelletje dat hier door de bewoners werd opgericht en ingewijd werd door de toenmalige Adegemse onderpastoor Vranckx, en over nog zoveel andere zaken meer. Maar dat zijn allemaal 19de eeuwse toestanden: de veranderingen evolueren nu in zulkdanig tempo dat het niet meer bij te houden is.
Hugo Notteboom.
Bronnen:
GAM. Archief Adegem. Landboek 1765. Tiende begin. (+ kaart).
RAG. Fonds Adegem. 3. Landboek Adegem 1642. Tiende begin.
RAG. Fonds Adegem. 5-6. Hoofdinghe van elckx gebruyck... 1766-1767.
RAG. Fonds Adegem. 132. Tableau concernant...
PAA. Terrier 1660.
SAG. Reeks 529/3, 4, 5, 6, 7, 8, 9.
Boes J. De Lieve.
Notteboom Hugo. Adegemse Hoeven.
Coornaert M. De geschiedenis van de Brugse Leie.
Verstraete Daniël. De Noordbroekwatering (en verschillende andere artikelen
verschenen in het weekblad "Vrij Maldegem".)
Omtrent Adegem.
Kaart Popp.
Kaart Schipdonkkanaal-Lieve.
Kaart Atlas van de Lieve (SAG, reeks 98/11).

Heemkundige wandeling door Adegem 1 - 2 - 3 - 4 - 5 - 6 - 7 - 8 - 9 - 10 - 11 - 12
| Vorig artikel: Mededeling |
Inhoud van 1981, jaargang 14 |
Volgend artikel: Fototentoonstelling |
| Inhoudstafels |
|
1968 -
1969 -
1970 -
1971 -
1972 -
1973 -
1974 -
1975 -
1976 -
1977 1978 - 1979 - 1980 - 1981 - 1982 - 1983 - 1984 - 1985 - 1986 |
Welkomblz van tijdschrift "Ons Meetjesland"
Doorzoek «Ons Meetjesland»!

MijnPlatteLand.com
Meest recente bijwerking : 21-04-2021
Copyright Notice (c) 2026